• 中国科技期刊卓越行动计划项目资助期刊
  • 中国精品科技期刊
  • 首都科技期刊卓越行动计划
  • EI
  • Scopus
  • CAB Abstracts
  • Global Health
  • 北大核心期刊
  • DOAJ
  • EBSCO
  • 中国核心学术期刊RCCSE A+
  • 中国科技核心期刊CSTPCD
  • JST China
  • FSTA
  • 中国农林核心期刊
  • 中国开放获取期刊数据库COAJ
  • CA
  • WJCI
  • 食品科学与工程领域高质量科技期刊分级目录第一方阵T1
中国精品科技期刊2020
宋苗苗,王军辉. 乳液浓度对豆腐柴果胶/乳清浓缩蛋白冷固型乳液填充凝胶理化性质的影响J. 食品工业科技,2025,46(10):84−92. doi: 10.13386/j.issn1002-0306.2024060114.
引用本文: 宋苗苗,王军辉. 乳液浓度对豆腐柴果胶/乳清浓缩蛋白冷固型乳液填充凝胶理化性质的影响J. 食品工业科技,2025,46(10):84−92. doi: 10.13386/j.issn1002-0306.2024060114.
SONG Miaomiao, WANG Junhui. Effects of Emulsion Concentration on Physicochemical Properties of AOP/WPC Cold Set Emulsion-filled HydrogelsJ. Science and Technology of Food Industry, 2025, 46(10): 84−92. (in Chinese with English abstract). doi: 10.13386/j.issn1002-0306.2024060114.
Citation: SONG Miaomiao, WANG Junhui. Effects of Emulsion Concentration on Physicochemical Properties of AOP/WPC Cold Set Emulsion-filled HydrogelsJ. Science and Technology of Food Industry, 2025, 46(10): 84−92. (in Chinese with English abstract). doi: 10.13386/j.issn1002-0306.2024060114.

乳液浓度对豆腐柴果胶/乳清浓缩蛋白冷固型乳液填充凝胶理化性质的影响

Effects of Emulsion Concentration on Physicochemical Properties of AOP/WPC Cold Set Emulsion-filled Hydrogels

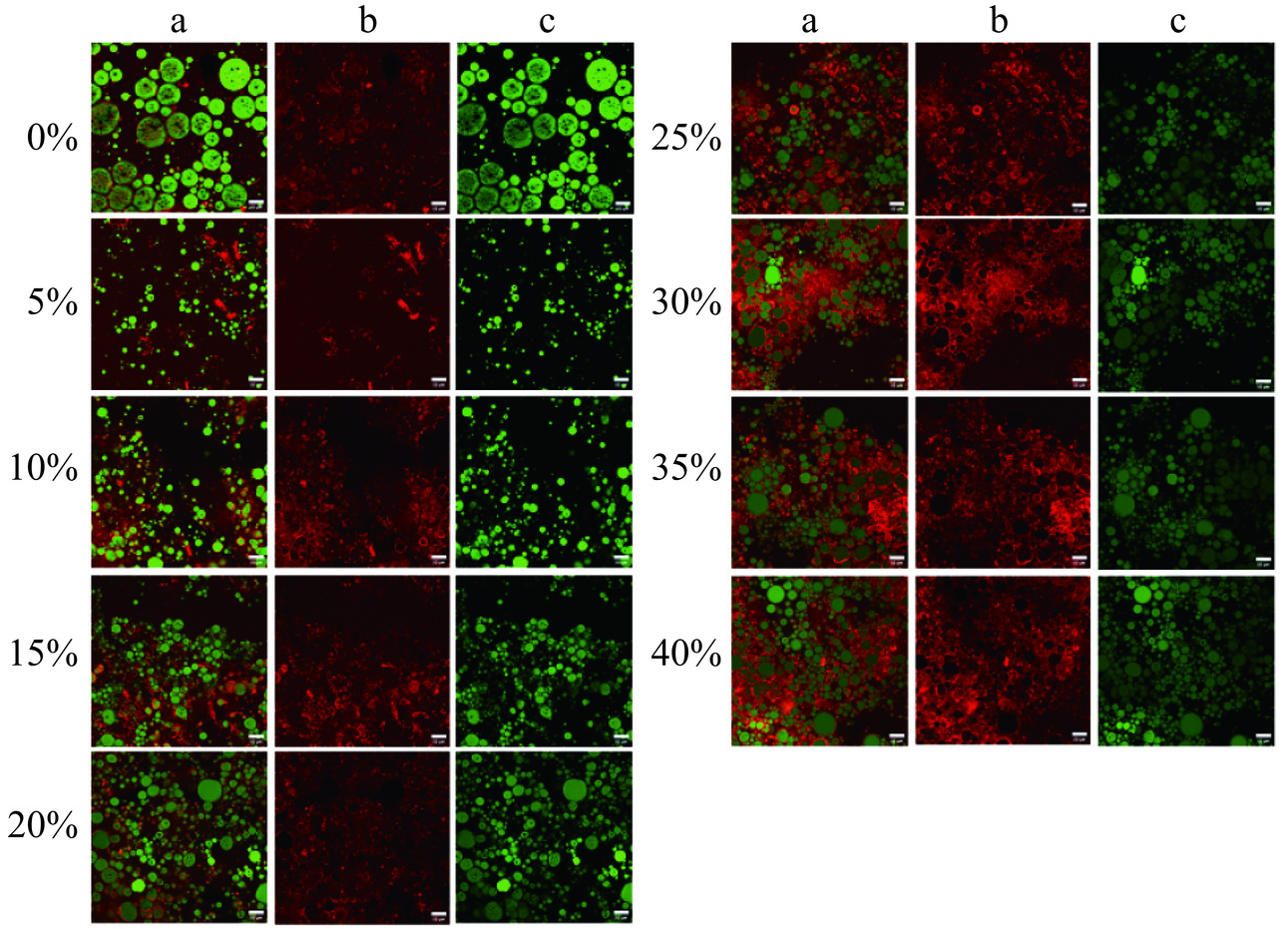
  • 摘要: 乳液填充凝胶具有乳液和水凝胶的优点,本研究将皮克林乳液嵌入豆腐柴果胶/乳清浓缩蛋白冷凝胶中,随后凝胶化形成冷固型乳液填充凝胶,旨在探究皮克林乳液浓度对乳液填充凝胶膨胀性、凝胶强度、持水性、流变特性和微观结构的影响。结果表明,乳液填充凝胶为完整性良好的自支撑凝胶,在皮克林乳液浓度为15%时形成高凝胶强度的凝胶网络。氢键是乳液填充凝胶形成的主要驱动力。皮克林乳液提高乳液填充凝胶的白度(55.29±0.52)、持水性(90.03%±0.82%)、凝胶强度(72.58±6.32 g)和冻融稳定性(26.93%±0.47%),有助于形成更紧凑的凝胶网络,确保乳滴在冷凝胶中稳定、均匀的分布。流变学表明皮克林乳液在乳液填充凝胶中作为活性填料,储能模量(G')>损耗模量(G''),二者表现较弱的频率关联度。体外消化表明,与皮克林乳液和玉米油相比,乳液填充凝胶显著提高游离脂肪酸释放率和姜黄素的生物可及率。总体而言,添加适量的乳液有利于改善乳液填充凝胶的凝胶特性,有助于指导凝胶类食品封装递送系统的开发。

     

    Abstract: Emulsion-filled hydrogels had the advantages of emulsions and hydrogels. In this study, Pickering emulsions were embedded into a pre-AOP and WPC hydrogel polymer solution, which were subsequently gelatinized to form cold set emulsion-filled hydrogels to explore the influence of different emulsion concentrations on the swelling degrees, hydrogel strength, water-holding capacity, rheological properties and microstructural of emulsion-filled hydrogels. The results showed that emulsion-filled hydrogels were self-supporting hydrogels with good integrity, and the hydrogel network with a high hydrogel strength was formed at the emulsion concentration of 15%. Hydrogen bonding was the main driving force for the formation of emulsion-filled hydrogels. Pickering emulsions could significantly improve the whiteness (55.29±0.52), water-holding capacity (90.03%±0.82%), hydrogel strength (72.58±6.32 g), and freeze-thaw stability (26.93%±0.47%) of emulsion-filled hydrogels, helping to form a tighter hydrogel network and ensure that emulsion droplets were stable and evenly distributed in the hydrogel. Rheological measurements showed that the emulsion acted as an active filler in the emulsion-filled hydrogels. The storage modulus (G') of the emulsion-filled hydrogels was higher than the loss modulus (G''), and the two moduli were weakly dependent on frequency. Emulsion-filled hydrogels significantly increased the free fatty acid release rate and the bioavailability of curcumin compared to Pickering emulsions and corn oil during in vitro digestion. Overall, the addition of a suitable concentration of emulsion was beneficial for improving the hydrogel characteristics of emulsion-filled hydrogels and guiding the development of encapsulated delivery systems for hydrogel food products.

     

/

返回文章
返回