• 中国科技期刊卓越行动计划项目资助期刊
  • 中国精品科技期刊
  • 首都科技期刊卓越行动计划
  • EI
  • Scopus
  • CAB Abstracts
  • Global Health
  • 北大核心期刊
  • DOAJ
  • EBSCO
  • 中国核心学术期刊RCCSE A+
  • 中国科技核心期刊CSTPCD
  • JST China
  • FSTA
  • 中国农林核心期刊
  • 中国开放获取期刊数据库COAJ
  • CA
  • WJCI
  • 食品科学与工程领域高质量科技期刊分级目录第一方阵T1
中国精品科技期刊2020
王宏伟,王小婷,国思琪,等. 不同贮藏期小麦淀粉水合能力变化对面条品质的影响J. 食品工业科技,2025,46(10):122−130. doi: 10.13386/j.issn1002-0306.2024060328.
引用本文: 王宏伟,王小婷,国思琪,等. 不同贮藏期小麦淀粉水合能力变化对面条品质的影响J. 食品工业科技,2025,46(10):122−130. doi: 10.13386/j.issn1002-0306.2024060328.
WANG Hongwei, WANG Xiaoting, GUO Siqi, et al. Effect of Wheat Starch Hydration on Noodle Quality under Different Storage PeriodsJ. Science and Technology of Food Industry, 2025, 46(10): 122−130. (in Chinese with English abstract). doi: 10.13386/j.issn1002-0306.2024060328.
Citation: WANG Hongwei, WANG Xiaoting, GUO Siqi, et al. Effect of Wheat Starch Hydration on Noodle Quality under Different Storage PeriodsJ. Science and Technology of Food Industry, 2025, 46(10): 122−130. (in Chinese with English abstract). doi: 10.13386/j.issn1002-0306.2024060328.

不同贮藏期小麦淀粉水合能力变化对面条品质的影响

Effect of Wheat Starch Hydration on Noodle Quality under Different Storage Periods

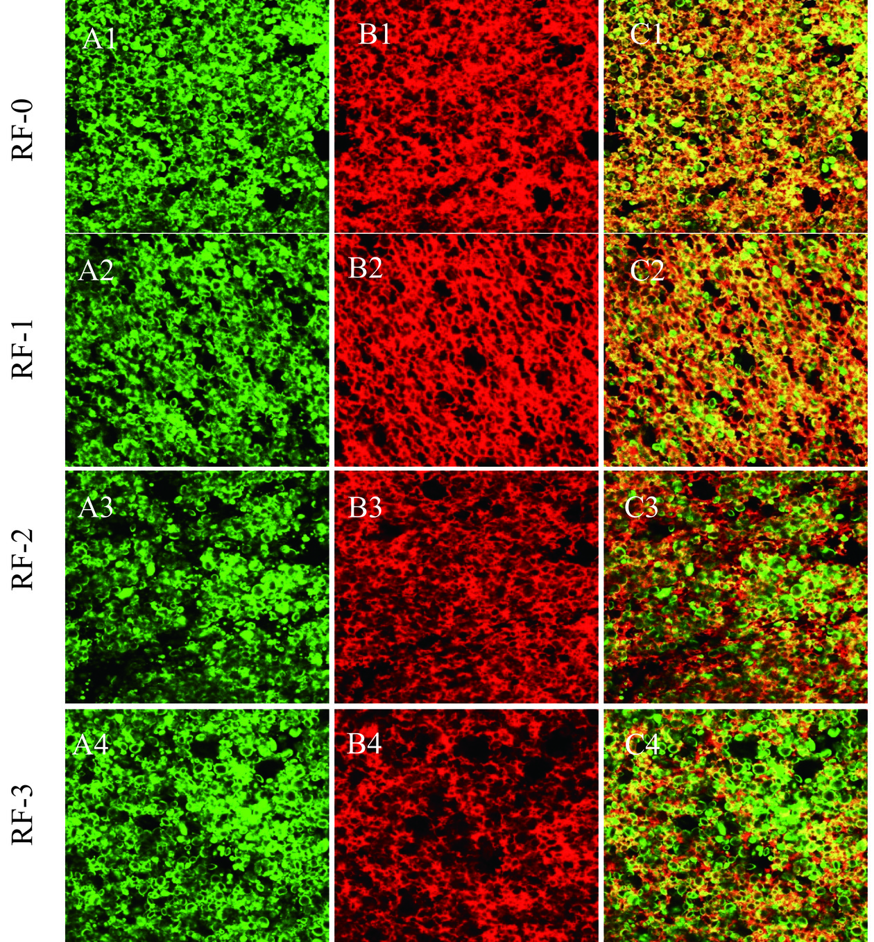
  • 摘要: 本文旨在探究不同贮藏期小麦淀粉水合能力变化对面条品质的影响,选取不同贮藏年份(0、1、2和3年)的小麦为研究对象,采用常温法、水接触角法等测定小麦淀粉的水合能力,并对其重组面团的微观结构、流变特性及其面条的食用品质进行测定,以期为不同贮藏期小麦的合理化应用提供依据。结果表明:随着小麦贮藏时间的延长,小麦淀粉的吸水能力和溶解度均呈上升趋势,分别增加至2.47 g/g和6.51%,而膨胀度和水接触角均呈下降趋势,分别降低至5.59 g/g和59.97°;且随着贮藏时间的增加,重组面团的面筋网络结构连续性变差,从而导致重组面团的储能模量(G′)和损耗模量(G″)均降低,可能由于小麦经历长期贮藏后,淀粉分子链结构及聚集态结构受到破坏,导致淀粉内部结构松散,淀粉更容易与面筋蛋白发生竞争性吸水,互相聚集,导致所形成面筋网络的稳定性变差。此外,与新采收小麦淀粉所制备的重组面条相比,贮藏淀粉所制备的重组面条硬度和咀嚼性均显著(P<0.05)增加,小麦贮藏3年后,其淀粉制成的重组面条的硬度从4451.97 g增加至7537.71 g,咀嚼性从1423.64 g增加至3851.87 g,且面条的蒸煮损失率增加及感官评分降低与此结果相一致。综上所述,随着贮藏时间的增加,小麦淀粉的水合能力增强,这会导致其与面筋蛋白的结合发生变化,从而引起面制品加工和蒸煮品质的劣变。

     

    Abstract: To investigate how the hydration ability of wheat starch that under different storage period (0, 1, 2, 3 years) affected the quality attributes of noodles. Wheat grains with varying storage years were firstly selected for this research, then the starch hydration ability was evaluated by technical methods such as room temperature testing or water contact angle measurements. Furthermore, the microscopic structure and rheological properties of reconstituted dough, and quality attributes of noodles produced by this dough were investigated, which could provide the theoretical basis for the rational application of wheat stored under different periods. Results showed that as the extension of wheat storage time, both the water absorption capacity and solubility of wheat starch respectively increased to 2.47 g/g and 6.51%, while the swelling power and water contact angle decreased to 5.59 g/g and 59.97°, respectively. Moreover, the continuity of the gluten network structure in reconstituted dough deteriorated with increased storage time, which induced the decrease of the storage modulus (G′) and the loss modulus (G″) of the reconstituted dough. This might be due to the long-term storage disrupted the molecular and aggregated structures of wheat starch, which led to disordered starch hierarchical structure, thus resulting in the competitive water absorption between starch and gluten proteins, aggregation of starch molecules and less stability of gluten network structure. In comparison with reconstituted noodles made from freshly harvested wheat starch, those prepared by stored starch fractions presented strengthened hardness and chewiness (P<0.05), especially for RF-3 sample, its hardness and chewiness increased from 4451.97 g to 7537.71 g and 1423.64 g to 3851.87 g, respectively. The increase in cooking loss rate and the decrease in sensory score of noodles were consistent with this result. In conclusion, the increased hydration capacity of wheat starch with longer storage time leads to alterations in its interaction with gluten proteins, thereby leads to the deterioration of the processing and cooking qualities of wheat-based products.

     

/

返回文章
返回